H.M.S. Garuda - RNAS. Coimbatore

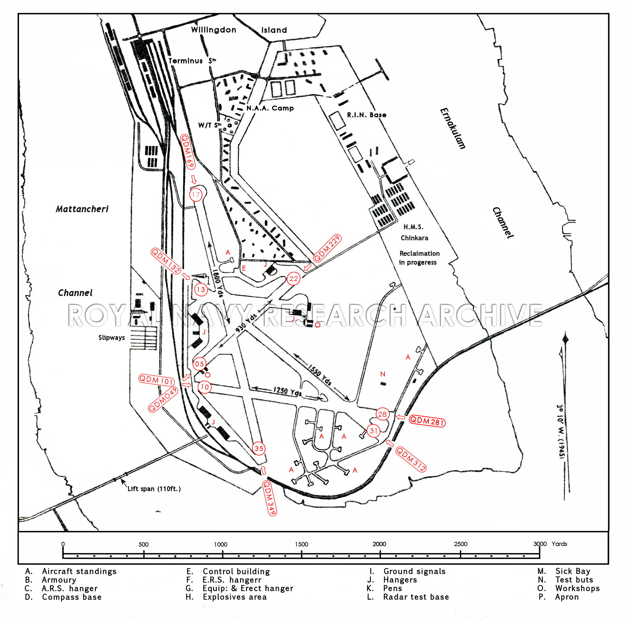
Airfield Plan HMS. Garuda, RNAS. Coimbatore, Cochin, India.

Picture courtesy of:  Royal Navy Research Archive